4.5.20211216
Q4 - Update vom
1) Es kann nun in der Administration eines Mandaten unter Darstellung festgelegt werden, ob der gesamte Pfad im Header der Dashboards angezeigt werden soll. Als Standard wird immer der erste Gruppenname und das jeweilige Dashboard angezeigt.

Einstellung mit Pfad | Einstellung ohne Pfad (default) |
|---|---|
![]() | ![]() |
2) Das Widget: Einzelsignal erlaubt es nun im Dashboard die zum Signal konfigurierten Bedingungen zu bearbeiten.

Konfiguration der Bedingungen

Verwaltung der Bedingungen im Dashboard
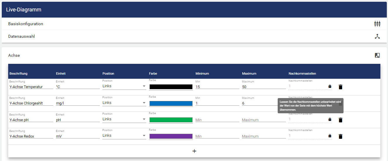
3) Im Widget: Gangliniendiagramm und im Widget: Live-Diagramm werden im Reiter Achse und Serie die Nachkommastellen aus dem zuvor konfigurierten Signal bei Achse und Serie automatisch aus der Konfiguration übernommen. Eine individuelle Änderung ist jedoch in der Konfiguration des Widgets möglich.


4) Einführung einer Teil-SCADA. Ermöglicht eine autarke Vorort Visualisierung und Steuerung, auch ohne Internetverbindung. Die Teil-SCADA synchronisiert sich hierbei mit einer übergeordneten Haut-SCADA bzw. der JUMO Cloud.
Großer Vorteil: Die Teil-SCADA kann ohne Internetverbindung autark arbeiten (Widget: Zeitschaltplan , Widget: Handeingabe , usw.)
Teil-SCADA synchronisiert sich mit Haupt-SCADA oder JUMO Cloud Mandant wenn Verbindung vorhanden
Teil-SCADA ist auch mit JUMO Cloud verwendbar
Synchronisation eines Mandanten in der Administration einstellbar: Synchronisation

5) JUMO-Animator Erweiterung mit der Möglichkeit nun direkt Diagramme innerhalb von Prozessbildern aufzurufen. Sofern es die Möglichkeit gibt ein Diagramm aufzurufen, taucht ein Symbol wie hier dargestellt auf.


6) Produktfamilie JUMO variTRON um JUMO variTRON 300 erweitert. Nun gibt es eine preiswerte Alternative zum JUMO variTRON 500, um seine Daten schnell und einfach in die JUMO Cloud zu bekommen. Auch für SCADA Kunden ein echter Vorteil.

7) JUMO-Animator nun in Englisch verfügbar

8) Überarbeiteter JUMO-Installer für JUMO smartWARE SCADA nun in Englisch und im Nacht Modus verfügbar
Normaler Modus | Nacht Modus |
|---|---|
![]() | ![]() |
9) Bugfixing und Systempflege
10) Technische Information: Frontend nun auf Angular 13. Backend auf Dotnet 6



